Local Service Overview

Get Ants Extermination Service in Spring, TX

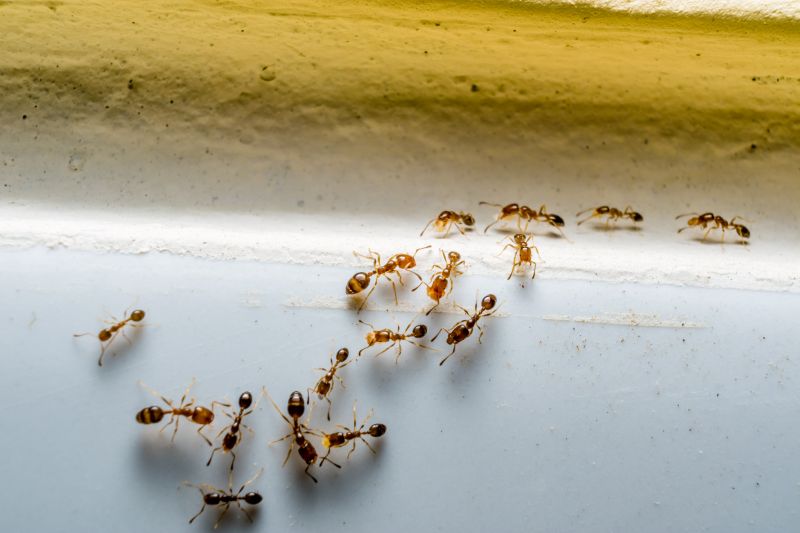
Ants extermination services for property owners in Spring, TX, address ant infestations, prevent future invasions, and handle residential and commercial pest control projects.

Spring, TX

Ants extermination services in Spring, TX are essential for property owners seeking to maintain a clean, safe, and comfortable environment. Ant invasions can lead to structural damage, contamination of food supplies, and increased pest-related concerns. Professional extermination helps eliminate existing colonies and prevents future infestations, ensuring that homes and businesses remain functional and free from disruptions caused by these persistent pests. By addressing ant problems promptly, property owners can enjoy peace of mind knowing their spaces are protected and more enjoyable to inhabit.

Choosing expert ant extermination services offers benefits that extend beyond immediate pest control. Effective treatments can reduce ongoing maintenance needs, preserve the durability of structures, and enhance curb appeal by keeping properties looking well-maintained. Additionally, a pest-free environment contributes to overall safety, reducing the risk of bites or contamination. Contacting local service providers can help ensure that ant issues are managed efficiently, supporting the long-term comfort and integrity of residential and commercial properties in Spring, TX.

Get Ants Extermination Service Quotes

  • Ant Infestation Removal - needed when ants invade kitchens or food storage areas in Spring, TX and nearby communities.
  • Ant Control Services - useful for homeowners dealing with persistent ant colonies in yards or around building foundations.
  • Ant Extermination for Commercial Properties - required when businesses in the area experience ant problems affecting operations or customer experience.
  • Preventative Ant Treatments - recommended for properties seeking to avoid future ant infestations in residential or commercial settings.
  • Emergency Ant Pest Control - appropriate when sudden ant invasions threaten to disrupt daily activities in Spring and surrounding areas.

Get Ants Extermination Service Quotes

Ants Extermination Service
Ants Extermination Service
Ants Extermination Service

Ants extermination services involve the identification and elimination of ant infestations within residential, commercial, or industrial properties. These services typically include thorough inspections to determine the extent of the ant problem, followed by targeted treatment methods to eradicate the colonies. Professionals may use various approaches, such as baiting systems, insecticides, or dust treatments, tailored to the specific species of ants and the severity of the infestation. The goal is to effectively reduce or eliminate ant populations while minimizing disruption to the property.

Ant infestations can cause significant problems for property owners. They often lead to structural damage, especially if the ants are carpenter ants that burrow into wood structures. Additionally, ants can contaminate food supplies, create unsanitary conditions, and become a nuisance for residents or employees. Addressing an ant problem promptly with professional extermination services helps prevent these issues from escalating, ensuring a cleaner, safer environment. Proper treatment also helps reduce the likelihood of recurring infestations, which can be difficult to control without expert intervention.

Properties that typically utilize ants extermination services vary widely. Residential homes are common sites, especially in areas with easy access to outdoor nesting sites or nearby food sources. Commercial properties such as restaurants, grocery stores, and food processing facilities often require regular pest control to maintain hygiene standards and comply with health regulations. Additionally, warehouses, office buildings, and public facilities may seek professional services to prevent ants from establishing colonies and causing disruptions or damage.

Engaging with local pest control providers for ants extermination offers property owners access to specialized knowledge and effective treatment options. These professionals assess the specific needs of each property, develop customized treatment plans, and implement measures to control and prevent future ant issues. By partnering with experienced service providers, property owners can maintain a pest-free environment and protect their investments from the potential damages and nuisances associated with ant infestations.

The overview below groups typical Ants Extermination Service projects into broad ranges so you can see how smaller, mid-sized, and larger jobs often compare in Spring, TX.

In many markets, a large share of routine jobs stays in the lower and middle ranges, while only a smaller percentage of projects moves into the highest bands when the work is more complex or site conditions are harder than average.

Initial Inspection - The cost for an ant inspection typically ranges from $50 to $150, depending on the property size and complexity. This fee covers identifying ant species and infestation severity to inform treatment options.

Basic Treatment - A standard ant extermination service usually costs between $100 and $300. This includes applying targeted treatments around entry points and infested areas to eliminate colonies.

Comprehensive Service - For extensive ant problems, prices can range from $200 to $500. This may involve multiple visits, baiting systems, and detailed treatment plans for lasting control.

Follow-up Visits - Follow-up services generally cost between $75 and $200 per visit. These visits ensure the effectiveness of initial treatments and address any recurring ant activity.

Actual totals will depend on details like access to the work area, the scope of the project, and the materials selected, so use these as general starting points rather than exact figures.

Get an Ants Extermination Service Quote

Ants Extermination services involve professional removal of ant colonies from residential and commercial properties in Spring, TX and nearby areas. Local service providers use targeted methods to eliminate ants and prevent future infestations.

Ants Control Treatments include applying specialized treatments to affected areas, helping to reduce ant populations and protect structures from ongoing invasion.

Barrier Ant Prevention services focus on establishing protective barriers around properties to deter ants from entering indoor and outdoor spaces.

Infestation Inspection involves thorough assessments by local pros to identify ant nesting sites and determine the extent of an infestation.

Eco-Friendly Ant Removal options are available through providers who use environmentally conscious methods to eliminate ants without harmful chemicals.

Ant Colony Removal services target the complete eradication of ant nests, ensuring long-term control and minimizing the risk of recurrence.

Ants Extermination Service

When selecting a pest control provider for ant extermination services, it is important to consider the experience of local professionals. An established provider with a history of successful ant treatments can demonstrate familiarity with common ant species and effective eradication methods. Homeowners may want to inquire about the length of time a contractor has been operating locally, as well as their familiarity with the specific challenges faced in the area, such as seasonal ant activity or common nesting sites. This background can help ensure the selected professional has the practical knowledge necessary to address the issue effectively.

Clear communication regarding service expectations is essential when working with a local ant extermination specialist. Reputable providers typically outline the scope of work, what homeowners can expect during and after treatment, and any preparations needed beforehand. Understanding these details upfront helps homeowners set realistic expectations and ensures there are no misunderstandings about the process. Providers who are transparent about their procedures and responsive to questions can foster a more comfortable and informed service experience.

Reputable references and reviews can serve as valuable indicators of a local pest control professional’s reliability and quality of service. Homeowners are encouraged to seek out local reviews or ask for references from previous clients in the area. This feedback can offer insights into the provider’s professionalism, effectiveness, and customer service. Additionally, good communication skills and responsiveness from the contractor can contribute to a smoother process, making it easier to schedule appointments, ask questions, and address any concerns that may arise during the treatment process.

Get an Ants Extermination Service Quote

Property owners in Spring, TX use Ants Extermination Service services for practical projects around their homes and businesses. The sections below highlight everyday jobs and straightforward project options.

Ants Extermination Service
Ants Extermination Service

Ants extermination services are commonly sought by property owners in Spring, TX, facing persistent ant infestations in residential or commercial spaces. These services are often needed when ants have invaded kitchens, bathrooms, or other areas, creating nuisances and potential health concerns. Property owners may look for professional assistance to effectively eliminate the ants and prevent future outbreaks, especially when DIY methods have proven unsuccessful.

In addition to immediate removal, property owners might seek ants extermination to address recurring issues or to protect their property from damage caused by ant colonies. Ants can be attracted by food sources, moisture, or structural vulnerabilities, prompting residents and business owners to contact local service providers for targeted treatments. Engaging with experienced professionals helps ensure thorough pest control tailored to the specific needs of properties in the Spring area.

Get an Ants Extermination Service Quote

How do ants extermination services work? Ants extermination services typically involve inspecting the property, identifying ant species and entry points, and applying targeted treatments to eliminate the colony and prevent future infestations.

Are the treatments safe for pets and children? Many local pros use treatments that are safe when applied properly; it's best to discuss safety concerns with the service provider before scheduling.

How long does an ant extermination treatment last? The duration of effectiveness varies depending on the treatment type and extent of the infestation, with some services offering follow-up options.

Will I need multiple visits for complete ant control? Some infestations may require more than one visit for thorough eradication, especially if multiple colonies are involved.

How can I prevent future ant problems? Local pros often recommend ongoing maintenance, sealing entry points, and removing attractants to help prevent future ant issues.

Ants Control Solutions - Local pest control providers offer targeted treatments to eliminate ant colonies and prevent future infestations.

Inspection and Identification - Pros can assess property conditions to identify ant species and entry points, ensuring effective treatment strategies.

Preventive Measures - Service providers recommend sealing entry points and removing attractants to reduce ant activity around homes.

Ongoing Monitoring - Professionals can establish monitoring plans to detect ant activity early and maintain a pest-free environment.

Ants Extermination Service

Considering Ants Extermination Service for a property in Spring, TX? The sections above highlight common project types, practical options, and details that often shape the scope of work.

When you are ready, use the quote form to share a few details about your project. Local pros can review the basics and respond with options that match what you have in mind.

Get an Ants Extermination Service Quote

Ants Extermination Quotes

Our Trusted Partners
Cantu Pest Control
Orkin
Hawx Pest Control